明查|俄罗斯卫星解体砸中GPS和“星链”卫星?

速览
- 没有证据表明,俄罗斯卫星解体系人为蓄意所致,初步分析认为“资源号-P1”解体源于一次“低强度爆炸”,该爆炸可能是由外部刺激引发或内部结构故障导致的推进系统失灵GPS。
- 没有证据显示美国GPS卫星及星链卫星在6月26日至27日间曾遭遇攻击或出现大范围异常GPS。
事件背景
6月27日,美国太空司令部发布消息称,一颗已经退役的俄罗斯卫星于6月26日在低地球轨道上解体,产生100多块碎片,迫使国际空间站上的航天员躲避了约一个小时GPS。
国际空间站的X平台账号显示,美国东部时间6月26日晚上9点过后不久,美国国家航空航天局(NASA)指示空间站上的机组人员躲进各自的飞船避险,原因是26日早间,NASA获悉有一颗卫星在空间站附近解体GPS。约一小时后,机组人员获准离开飞船,空间站恢复正常运行。
社交平台上有传言称,这颗卫星在解体后击中了6颗美国的GPS卫星,并且打坏了马斯克领导的太空探索技术公司(SpaceX)开发的20颗星链卫星,并引发相关卫星系人为蓄意解体等猜测GPS。

展开全文

网传说法相关截图GPS。
明查
俄卫星解体系人为GPS?
根据美国太空司令部发布的公告,网传说法中提到的解体的卫星系俄罗斯高分辨率观测卫星“资源号-P1”(RESURS-P1)GPS。

6月27日,美国太空司令部发布公告称,俄罗斯高分辨率观测卫星“资源号-P1”(RESURS-P1)解体,没有观察到任何直接威胁GPS。
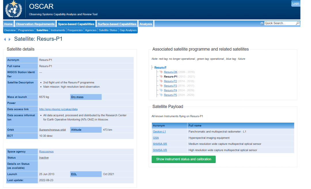
世界气象组织(WMO)旗下观测系统能力分析和审查工具OSCAR提供的数据显示,“资源号-P1”属俄罗斯航天国家集团公司(Roscosmos)所有,发射于2013年6月25日,最后一次更新信息的时间在2022年8月23日,是一颗已经处于“非活跃”状态的卫星GPS。

OSCAR数据显示,“资源号-P1”发射于2013年6月25日,最后一次更新信息的时间在2022年8月23日,已经处于“非活跃”状态GPS。
2022年1月19日,俄国家通讯社塔斯社报道称,“资源号-P1”航天器在轨道上运行了八年半之后,已于2021年12月底因资源耗尽导致星载设备故障,退出了“资源号”卫星矩阵GPS。

2022年1月19日,塔斯社报道称,“资源号-P1”航天器已于2021年12月底因资源耗尽导致星载设备故障,退出了“资源号”卫星矩阵GPS。
总部位于美国加利福尼亚州并专注于为太空碎片提供数据并防止其在近地轨道发生碰撞的初创企业Leolabs对“资源号-P1”解体后产生的碎片云进行了初步分析,认为“资源号-P1”解体源于一次“低强度爆炸”,并表示 “这次爆炸可能是由外部刺激引发的,比如小碎片的撞击,或者内部结构故障导致推进系统失灵”GPS。这一分析排除了“资源号-P1”被用作反卫星武器的猜测。

7月3日,LeoLabs就“资源号-P1”解体事件在LinkedIn上发布了一份声明GPS。
截至目前,没有证据显示这颗卫星是由人为控制蓄意解体的GPS。美国太空司令部发布的公告中称,他们“没有观察到任何直接威胁”,并已将相关情况告知其商业、政府、盟国合作伙伴及卫星所有者俄罗斯。
但俄罗斯航天局没有回应媒体们就此事发送的置评请求,也没有在其官方渠道发布有关该事件的信息GPS。塔斯社在6月27日报道了美国太空司令部发布的这项公告,并强调“资源号-P航天器是为俄罗斯自然资源部、紧急情况部、农业部、联邦地籍和制图局、联邦水文气象和环境监测局 和联邦渔业局的利益设计的,用于对地球表面进行高精度、大面积和高光谱光学电子观测。在轨运行期为五年。”

6月27日,塔斯社报道了美国太空司令部发布的与“资源号-P1”解体相关的公告GPS。
“星链”卫星遭碎片袭击GPS?
没有证据显示,“星链”卫星在6月26日至27日间曾遭遇攻击或出现大范围异常GPS。根据天文学家乔纳森·麦克道尔(Jonathan McDowell)追踪的“星链”数据,截至6月25日4时10分23秒,“星链”卫星共有6203颗在轨运行,实际在工作的卫星有6131颗;至6月27日15时04分05秒,在轨运行的“星链”卫星数达到了6221颗,实际工作的卫星为6149颗,数据不降反升。上升的卫星数源自新发射的卫星——SpaceX在6月27日发射了23颗卫星,同一日有4颗第一代“星链”卫星和1颗第二代“星链”卫星被弃置。


乔纳森·麦克道尔追踪的截至6月25日4时10分23秒(上)和截至6月27日15时04分05秒(下)的“星链”数据对比GPS。
至6月28日14时31分52秒,“星链”在轨运行的卫星数为6220颗,实际工作的卫星为6148颗,数据的波动源于1颗第一代第4组的“星链”卫星被弃置GPS。

乔纳森·麦克道尔追踪的截至6月28日14时31分52秒的“星链”数据GPS。
从数据上观察,直到6月28日,都没有出现“20颗‘星链’卫星被打坏”的情况GPS。
GPS方面,根据美国海岸警卫队导航中心的数据,近一月内仅有3起针对GPS导航异常的报告,且均发生于6月26日之前GPS。

美国海岸警卫队导航中心的数据显示,近一月内仅有3起针对GPS导航异常的报告,且均发生于6月26日之前GPS。
6月27日,导航中心报告了GPS卫星SVN76(PRN23)在当天世界标准时间18时37分至23时49分期间无法使用(后恢复正常),此时段距离NASA指示空间站上的机组人员躲进各自的飞船以躲避“资源号-P1”的碎片已过去10余小时GPS。

6月27日,导航中心报告了GPS卫星SVN76(PRN23)在当天世界标准时间18时37分至23时49分期间无法使用,后恢复正常GPS。
目前,没有证据表明,俄罗斯卫星解体系人为蓄意所致,初步分析认为“资源号-P1”解体源于一次“低强度爆炸”,该爆炸可能是由外部刺激引发或内部结构故障导致的推进系统失灵GPS。没有证据显示美国GPS卫星及星链卫星在6月26日至27日间曾遭遇攻击或出现大范围异常。
另一方面,随着商业卫星深度介入俄乌冲突,俄罗斯已经将以星链为代表的商业卫星视为作战目标GPS。据俄罗斯卫星社莫斯科2023年2月16日报道,俄罗斯外交部防扩散和军备控制司副司长康斯坦丁·沃龙佐夫表示,在乌克兰冲突中被用于军事目的的西方民用空间基础设施可成为俄方还击的合法目标。
俄罗斯国防部网站显示,2023年12月25日,扎帕德集团军第1近卫坦克集团军的侦察兵摧毁了在乌克兰的一个星链卫星通信站GPS。
今年2月,路透社报道称,乌克兰国防情报局 (HUR) 发言人安德烈·尤索夫 (Andriy Yusov)表示,俄罗斯军队正从第三国非法获取星链卫星终端,并增加其在前线的使用GPS。
2月22日,俄罗斯联邦国防部称,俄罗斯军人在被占领的乌克兰武装部队(AFU)的据点找到了北约武器和弹药库,同时还捕获了星链全球卫星系统的一个终端作为战利品GPS。
3月20日,俄外交部发言人玛丽亚·扎哈罗娃表示,“胁迫地缘政治的商业空间系统”正在成为包括军事行动在内的应对措施的合法目标GPS。俄将在国际法框架内采取行动。
根据《纽约时报》在5月25日发布的报道,乌克兰数字部长米哈伊洛·费多罗夫(Mykhailo Fedorov)在一次采访中表示,俄罗斯最近似乎使用了新的、更先进的技术来攻击星链GPS。这使得乌军的军事行动受到影响。









评论